Ommerkanaal Oost - Ommen

Plaatsingsdatum 13 april 2026

Details

Provincie Overijssel
Plaats Ommen
Oppervlakte 7.09.77 ha
Prijs Verkoop bij inschrijving
Makelaar Boertjes Makelaardij & Taxateurs

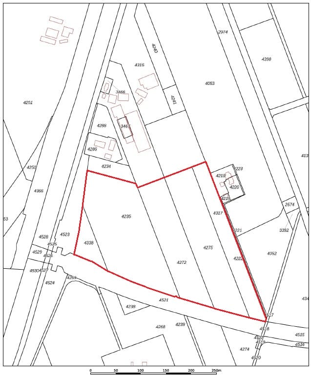
Kadastrale kaart

  • STAD-OMMEN A 4235
    Eigendomssituatie 25,572 ha (kadaster)
  • STAD-OMMEN A 4338
  • STAD-OMMEN A 4272
  • STAD-OMMEN A 4275
  • STAD-OMMEN A 4317

Prijsontwikkeling & grondprijs

Laatste transactie (kadaster) Exact koopsom alleen in volledig rapport
Koopsom (indicatie /ha) Indicatie € per hectare alleen in volledig rapport
Gem. regio — Overijssel (Kadaster jaarcijfers) € 87.400/ha
€35k €45k €55k €65k €75k €85k €95k €105k 2012 2013 2014 2015 2016 2017 2018 2019 2020 2021 2022 2023 2024 2025 2026
Gem. grondprijs — Overijssel (Kadaster jaarcijfers) Gem. grondprijs NL (Kadaster jaarcijfers) Transactie dit perceel (kadaster)

Transacties in de omgeving

STAD-OMMEN A 4235
Volledig grondprijsrapport
  • Exacte €/ha referentiepercelen
  • Historische transacties
  • Kadastraal rapport

Hoogtekaart

Teeltgeschiedenis

Teeltgeschiedenis wordt geladen...

Natura 2000

Beschermde natuurgebieden in de omgeving

Natura 2000 wordt geladen...

Meer percelen in de buurt van Ommen

Laden…